recherche immobilières en Espagne sur mobile

Terrain à vendre Coin Espagne (29100) - 2113 m2 - 889000 €

vente terrain 2113 m² province Malaga

889 000 €


Vente Terrain COIN 29100
Annonce Vente Terrain Coin
Acheter Terrain 2113 m2 Coin
Acheter Terrain Coin région MALAGA

Description

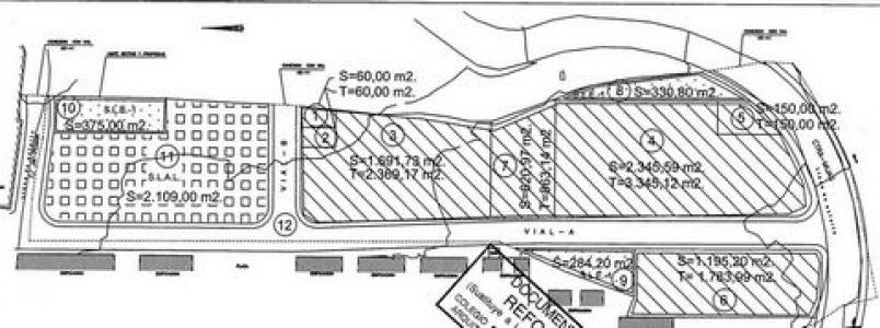
COIN : COIN, MALAGA... INVESTISSEURS ET PROMOTEURS, ATTENTION ! Grand terrain situé à Coín. Projet de construction : L'immeuble comprendra un rez-de-chaussée (destiné aux commerces), quatre étages et un penthouse (rez-de-chaussée + 1er + 2e + 3e + penthouse), pour un total de 22 appartements et des commerces au rez-de-chaussée. Ce secteur fait partie de l'agglomération de Coín, qui connaît un développement important et prometteur. Il est très bien desservi par les axes routiers menant à Málaga, Cártama, Alhaurín de la Torre, Ojén et Marbella, situées à environ 23 km. Deux immeubles y sont déjà construits, et ce terrain correspond à la construction du troisième. D'une superficie de 1 195,20 m², il est classé en zone urbaine et a reçu l'approbation définitive de la mairie de Coín. Le plan d'aménagement spécial, le plan de redistribution foncière et le plan d'urbanisation correspondants ont été élaborés et finalisés. Tous les frais, charges et taxes d'investissement liés au Plan d'Urbanisation ont été intégralement acquittés à ce jour. La surface constructible hors sol est de 1 783,99 m² et le sous-sol de 1 195,20 m² est dédié au stationnement et au stockage. L'immeuble comprend un rez-de-chaussée (à usage commercial), quatre étages (rez-de-chaussée + 1er + 2e + 3e + penthouses), pour un total de 22 appartements et des commerces au rez-de-chaussée. Les plans d'implantation sont joints ; le projet a été approuvé et dispose d'un permis de construire municipal. Le terrain est libre de toute hypothèque ou charge. Ce prix inclut les études d'avant-projet et de détail Une vente avec échange, par exemple de 30 %, est également envisageable. L'investisseur bénéficierait ainsi d'un prix nettement inférieur et apporterait au vendeur des logements avec leurs places de parking respectives.
Retour
Autres photos
Plan
Favoris

Contacter le propriétaire


Recevoir des annonces similaires

Vente à proximité de Coin