Description Terrain à Coin
COIN : COIN, MALAGA... INVESTISSEURS ET PROMOTEURS, ATTENTION ! Grand terrain situé à Coín.
Projet de construction : L'immeuble comprendra un rez-de-chaussée (destiné aux commerces), quatre étages et un penthouse (rez-de-chaussée + 1er + 2e + 3e + penthouse), pour un total de 22 appartements et des commerces au rez-de-chaussée.
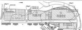
Ce secteur fait partie de l'agglomération de Coín, qui connaît un développement important et prometteur. Il est très bien desservi par les axes routiers menant à Málaga, Cártama, Alhaurín de la Torre, Ojén et Marbella, situées à environ 23 km. Deux immeubles y sont déjà construits, et ce terrain correspond à la construction du troisième. D'une superficie de 1 195,20 m², il est classé en zone urbaine et a reçu l'approbation définitive de la mairie de Coín. Le plan d'aménagement spécial, le plan de redistribution foncière et le plan d'urbanisation correspondants ont été élaborés et finalisés. Tous les frais, charges et taxes d'investissement liés au Plan d'Urbanisation ont été intégralement acquittés à ce jour.
La surface constructible hors sol est de 1 783,99 m² et le sous-sol de 1 195,20 m² est dédié au stationnement et au stockage. L'immeuble comprend un rez-de-chaussée (à usage commercial), quatre étages (rez-de-chaussée + 1er + 2e + 3e + penthouses), pour un total de 22 appartements et des commerces au rez-de-chaussée. Les plans d'implantation sont joints ; le projet a été approuvé et dispose d'un permis de construire municipal.
Le terrain est libre de toute hypothèque ou charge.
Ce prix inclut les études d'avant-projet et de détail
Une vente avec échange, par exemple de 30 %, est également envisageable. L'investisseur bénéficierait ainsi d'un prix nettement inférieur et apporterait au vendeur des logements avec leurs places de parking respectives.
- Terrain1195 m2
- Surface2113 m2








Vente Estepona
Vente Marbella